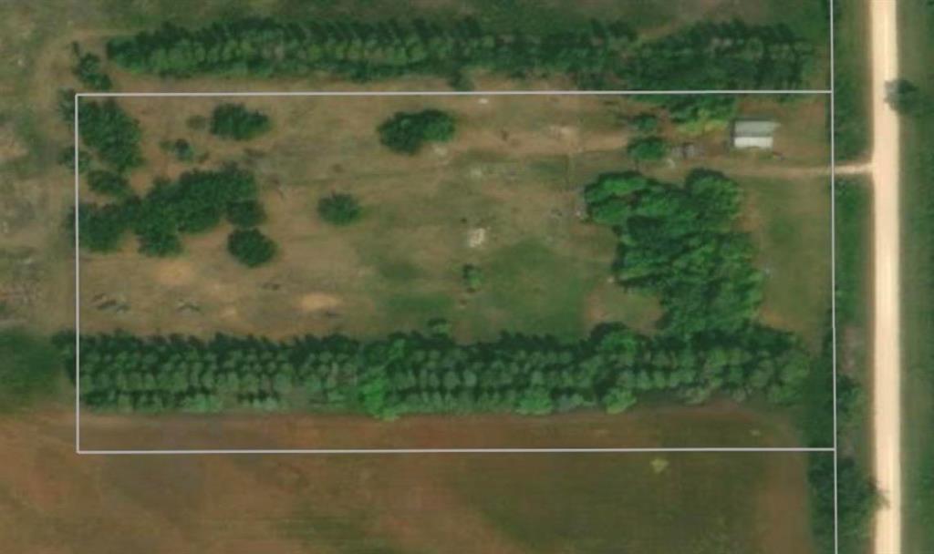
Rare Opportunity in the RM of Rockwood, just outside of the Town of Argyle. This Maturely treed 6.99 acre established yard site sits with fully operation hydro, well, full electric fencing and driveway. There is an older 12x20 garage/shed with concrete floor, has separate panel and 220V for camper. The home you see in the photos is the original homestead built in 1940’s no one has lived in the home for 20 years, it is a tear down or for storage purposes only. Property has been surveyed, pins can be found on property. Here’s your chance to build your dream acreage surrounded in pine trees, just in time to get spring building plans underway!

  • Basement Development Unfinished
  • Building Type Bungalow
  • Built In 1940
  • Gross Taxes $2,037.39
  • Land Size 6.99 acres
  • Neighbourhood RM of Rockwood
  • Property Type Residential, Vacant Land with Building
  • School Division Interlake
  • Tax Year 2025
Site Influences
Country Residence
Fenced
Fruit Trees/Shrubs
Private Setting